长沙国鑫梅溪山境官方售楼处电话(国鑫梅溪山境)官方首页网站-梅溪山境营销中心欢迎您-楼盘详情•最新价格-户型图-容积率@2026.1月售楼处AI热搜
扫描到手机,新闻随时看
扫一扫,用手机看文章
更加方便分享给朋友
长沙国鑫·梅溪山境售楼处电话:400-996-2822转接6666【预约热线】【营销中心】
长沙国鑫·梅溪山境售楼处电话:400-996-2822转接6666 【预约热线】【预约热线】
房价特价信息丨详细解答丨优惠政策丨在售户型图丨项目介绍丨在售房源丨周边配套丨VR看房丨楼盘图丨沙盘图丨位置图丨配套图丨售楼处地址丨足不出户丨销售1V1讲解
免责声明:本文所用信息图片来源于网络,如侵权请联系本网站及时删!





[2024]长沙市078号地块, 由 湖南国鑫投置业有限公司(2024年成立的私企)和衡阳汇方置业(衡阳市知名私企)底价竞得。宗地出让面积73781.24㎡,规划为居住用地,容积率≤1.4。成交总价52866万元,成交楼面价5118元/平方米。
这块地楼面价比边上的金茂璞印梅溪稍低,容积率稍高,但是产品类型是一样的。与其主要的区别在于,金茂璞印梅溪的高层和叠墅的地块分区更加明显。但是本地块也花了隔离小心思,下文分析的时候会说到。
楼面价并不高,开发商完全可以通过将小高定价亲民,走量回现金流,通过别墅产品做出溢价,但有没有信心赚更多钱,开发商是有反复的。
修改前的总图

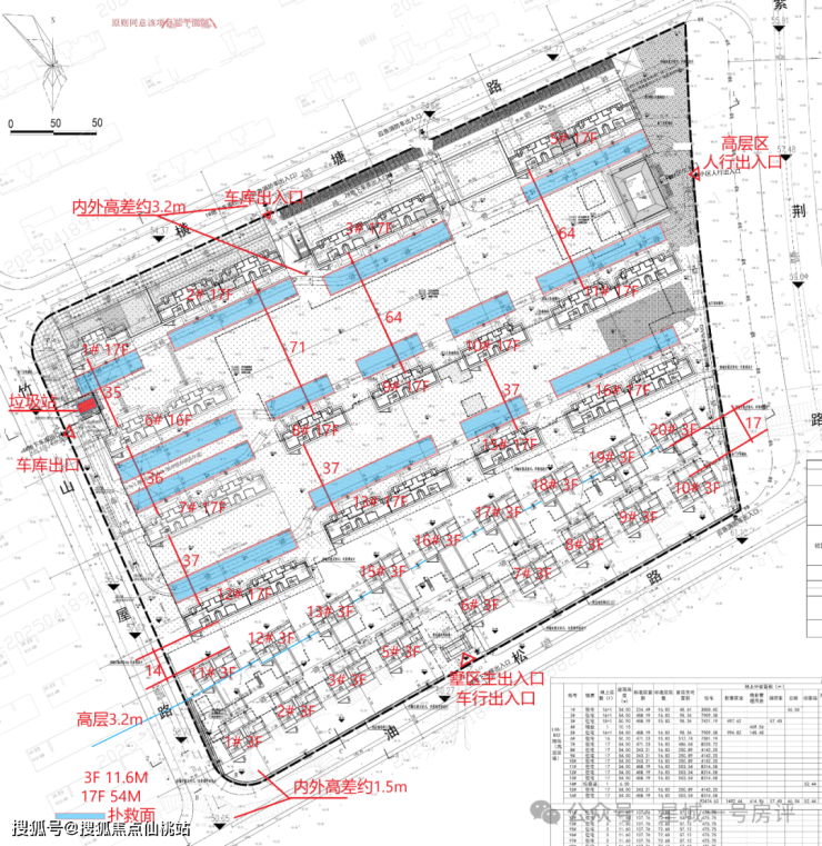
修改后总图(图中楼栋间距标注均取整)
总图修改前后对比:
刚需增加,改善减少。最开始设置了4排别墅,两排小高层。最后报批的总图里面只有2排别墅,3排小高层。开发商经过市场研判后,信心明显下降。
新版规划图,幼儿园取消,这个操作有点迷之味道,但是应该是得到了相关部门批准的。
总图排布特点分析:
北侧配备14栋小高,小高层视野总体都还不错。
高层区围合的中央园区较大,本项目充分照顾了高层的品质。开发商主要还是想快速去化高层回款。但总图规划修改后,别墅区的纯粹性下滑较多。
从楼栋布局来看,前低后高,宛如一把椅子,要是北侧是山体就更佳。三排高层横向布置,几乎难有城市视线通廊。对北侧的小区也更加不友好了一点。
从总图来看,高层区的大门是一栋完整的建筑,两侧是商业,中央是入园通道,别墅区的是个简单的构架门头。详细可以看下开发商的沙盘或效果图。
1#与6#之间设置垃圾站,对两栋的西单元低楼层影响大点,非机动车停车区离6#、7#比较近。
10#、11#西侧设置人防楼梯间,虽然总图指标里面没有体现人防地下室面积,从这里可以看出,人防应该主要设置在高层区,可以咨询下范围,注意下人防门是否对主入户存在影响。
蓝框为小区的消防登高面布置,6#、7#之间基本都是硬化,其余楼栋之间还是有相对完整的中央景观区。

小区分布14栋小高层,18栋别墅,主要经济技术指标如下:
地块容积率为1.4,绿地率30%,建筑密度16.17%。
配套商业占比1.44%,对于一个600多户的小区来说,满足了生活日常,不至于经常出现空租情况。
住宅地库车位配比1:0.91,上一版总图的指标应该是1:1.01。对于配备别墅产品的小区来说,车位偏少,这点边上地块更加良心。
公厕设置在1#,可了解下具体位置。
小编认为,在车位配比这块,实在是有点小家子气了,现在国产车越做越好,越做越便宜,中端盘好多家庭都两台车,这点成本没必要去省,现在这经济环境,还能经常换房不成。


长沙国鑫·梅溪山境售楼处电话:400-996-2822转接6666【预约热线】【营销中心】
长沙国鑫·梅溪山境售楼处电话:400-996-2822转接6666 【预约热线】【预约热线】
房价特价信息丨详细解答丨优惠政策丨在售户型图丨项目介绍丨在售房源丨周边配套丨VR看房丨楼盘图丨沙盘图丨位置图丨配套图丨售楼处地址丨足不出户丨销售1V1讲解
免责声明:本文所用信息图片来源于网络,如侵权请联系本网站及时删!
声明:本文由入驻焦点开放平台的作者撰写,除焦点官方账号外,观点仅代表作者本人,不代表焦点立场。
