新房热搜TOP1官方售楼处发布→广州保利天曜售楼处电话→保利天曜售楼中心→保利天曜24小时电话→楼盘详情→小区环境→房价户型→好房热搜NO1
扫描到手机,新闻随时看
扫一扫,用手机看文章
更加方便分享给朋友
广州保利天曜售楼处电话:400-996-2822转接6666【预约热线】【营销中心】
广州保利天曜售楼处电话:400-996-2822转接6666 【预约热线】【预约热线】
房价特价信息丨详细解答丨优惠政策丨在售户型图丨项目介绍丨在售房源丨周边配套丨VR看房丨楼盘图丨沙盘图丨位置图丨配套图丨售楼处地址丨足不出户丨销售1V1讲解
免责声明:本文所用信息图片来源于网络,如侵权请联系本网站及时删!
规 模:南北地块占地约4.13万㎡,总建筑面积约12.46万㎡;
容积率:综合容积率3.33,南地块约3.1,北地块约3.8
绿化率:约35%
会所面积:约2900方
户 型:建面约120-140-175-220㎡云幕平层
2024 年 12 月 31 日,保利以总价 70.2 亿元底价拿下绢麻厂地块,分为两个地块。
其中,AT080720 地块在北面,楼面价为 5.07 万 /㎡;
AT080721 地块在南面,楼面价为 5.11 万 /㎡。

泱泱中华世代不息,如月之恒日之升,天有七曜,地有五行,溯源千年文明传统

保利全新天字系标杆,续写珠城滨江豪宅天际线传奇,打造塔尖圈层的藏品级奢宅。
珠江新城—广州超核中心,以全市0.2%的土地,贡献全市14%的GDP;显贵之地,汇聚塔尖人群,2000余万的广州人口,唯有18万人能跻身珠江新城;
广州因珠江而兴盛,保利·天曜坐拥前航道/北岸鎏金3公里,聚集着世界级的城市地标、国际化的高端配套,享受豪宅标配亲江生活方式;
保利·天曜地处珠江新城东区与珠江前航道3公里黄金交汇处,铸就了保利·天曜与生俱来的土地禀赋,续写城央稀缺滨江豪宅天际线的传奇。
地铁:楼盘东北侧就是广州地铁5 号线与 11 号线交汇的员村站,仅约 100 米距离。

公交:距离最近的员村二横路南站仅有 343米,还有员村总站(绢麻厂)等站点,出行十分方便。
道路:项目周边有华南快速干线、黄埔大道中、临江大道和科韵路等主要交通线路,北侧花城大道规划东扩南移,南侧临江大道隧道已通车,西侧的会展西隧道预计2026年通车后,业主 8 分钟就能到达琶洲核心区,15 分钟内可往返珠江新城与金融城。
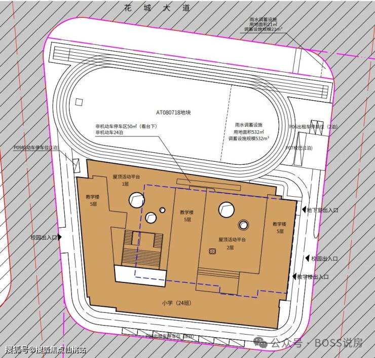
自建学校:项目配建 24 班小学和 6 班幼儿园,小学已纳入体育东教育集团。
广州市天河区体育东路小学(公办、省一级)1990 年 9 月创办,2001 年评定省一级学校,一校三址布局于天河 CBD 核心,以信息化、语艺、棒球为特色,教学理念是让每个人做最好的自己,是天河高端公办小学标杆
周边学校:1.5 公里范围内有员村第五小学、天华中学、兰庭幼儿园、员村小学(美林分校)、美林海岸幼儿园等多所学校。

综合医院:楼盘直线 3km 范围内有 4 个一级及以上医院,其中中山大学附属第六医院(院本部)距离楼盘直线约300米,暨南大学附属第一医院距离楼盘 2.4km,南方医科大学第三附属医院距离楼盘 2.8km。
中医医院:天河区中医医院距离楼盘 1.6km,可为居民提供中医诊疗等服务。
社区底商 / 泛会所:规划社区级商业与约 2900㎡奢级会所(恒温泳池、私宴厅、国医理疗馆等),满足日常零售、餐饮、邻里社交与高端服务。
步行可达:天河领展广场、东方国际商业广场、天河都市广场、美林商业中心等,覆盖超市、餐饮、亲子、影院,适合日常采购与休闲。
烟火气:员村二横路、员村西街等周边沿街商铺、菜市场、便利店密集,生活便利度高。
未来新增与远期配套:
保利面粉厂项目:紧邻项目南侧,规划商业综合体,未来将引入高端餐饮、文娱等,步行可达,显著提升片区商业密度与品质。
珠城马场改造(含 SKP 等):约 3km 内,定位顶流商业,未来可通过地铁 / 自驾快速抵达,进一步强化高端消费能级。
公园绿地:楼盘周边生态环境优越,3km 范围内有 94 个公园,距离最近的仅 232m,步行即可到达临江带状公园、北岸文化公园、亲水公园等。
休闲设施:项目对滨江带状公园进行优化,建设人型天桥直通江边,还在西侧打造了绿地公园,为业主提供了更好的休闲空间。
广州保利天曜售楼处电话:400-996-2822转接6666【预约热线】【营销中心】
广州保利天曜售楼处电话:400-996-2822转接6666 【预约热线】【预约热线】
房价特价信息丨详细解答丨优惠政策丨在售户型图丨项目介绍丨在售房源丨周边配套丨VR看房丨楼盘图丨沙盘图丨位置图丨配套图丨售楼处地址丨足不出户丨销售1V1讲解
免责声明:本文所用信息图片来源于网络,如侵权请联系本网站及时删!
声明:本文由入驻焦点开放平台的作者撰写,除焦点官方账号外,观点仅代表作者本人,不代表焦点立场。
